Queman vivas a varias mujeres tras una supuesta cacería de brujas en la República Democrática del Congo
Las cacerías de brujas que llevaron a miles de mujeres a ser quemadas en la hoguera entre los siglos XV...
Las cacerías de brujas que llevaron a miles de mujeres a ser quemadas en la hoguera entre los siglos XV...
El desgarrador discurso que protagonizó Steve Kerr, entrenador de los Golden State Warriors, en la conferencia de prensa previa del...
Los talibanes, en su primera rueda de prensa en Afganistán desde su toma de poder, declararon que en el país...
Las defensas para luchar contra el COVID-19 se han sostenido desde el inicio de la pandemia siempre en cómo el...
Cyle Larin marcó en el final del primer tiempo y el comienzo del segundo por Canadá, que se colocó como...
Los Juegos Paralímpicos de Tokio 2020 comenzarán el próximo martes 24 de agosto y finalizarán el domingo 5 de septiembre....
El Manchester City del entrenador español Josep Guardiola, superó este miércoles por 2-1 al América del fútbol mexicano en un...
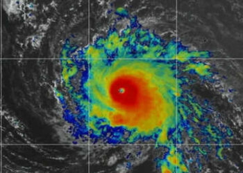
El huracán Rick continuará fortaleciéndose frente a las costas del Pacífico mexicano y tocará tierra este lunes entre los estados...
Un día el futbolista mexicano Carlos “Gullit” Peña hizo soñar a millones de mexicanos aficionados al futbol con sus goles...
El presidente de Estados Unidos, Joe Biden, reiteró el sábado su decisión de retirar las fuerzas estadounidenses de Afganistán a...