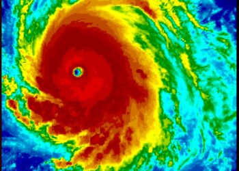
Lee se convirtió en un devastador huracán de categoría 5 mientras se acerca al este del Caribe
El huracán Lee cobró fuerza y alcanzó la categoría 5 con vientos que podrían llegar a máximas de 257 kilómetros ...
El huracán Lee cobró fuerza y alcanzó la categoría 5 con vientos que podrían llegar a máximas de 257 kilómetros ...
La Policía Nacional Civil (PNC), reportó la captura de un conductor que en estado de ebriedad arrolló a dos personas ...
San Sebastián disputará la final masculina de la Liga de Fútbol Playa Copa CEL 2023 luego de superar a Apulo ...
El líder norcoreano Kim Jong-un llegó este martes (12.09.2023) a Rusia, en un tren blindado, para una reunión con el ...
San Salvador se adueñó del primer lugar al vencer con solvencia 86-64 a Santa Ana en el juego del Torneo ...
La tormenta Lee derribó árboles y cortó el suministro eléctrico a decenas de miles de personas el sábado cuando sus ...
En un duelo que contó con el espectacular respaldo de los aficionados de ambos equipos, San Marcelino consiguió el doblete ...
El Ministerio de Cultura facilitó, a través del programa Iberorquestas, la ejecución del Taller de Lutería 2023, en el cual ...
La Administración Federal de Aviación (FAA, por sus siglas en inglés) de Estados Unidos informó este viernes (08.09.2023) a la ...
La Policía Nacional Civil (PNC), informó la captura de un sujeto que conducía en estado de ebriedad sobre el km ...