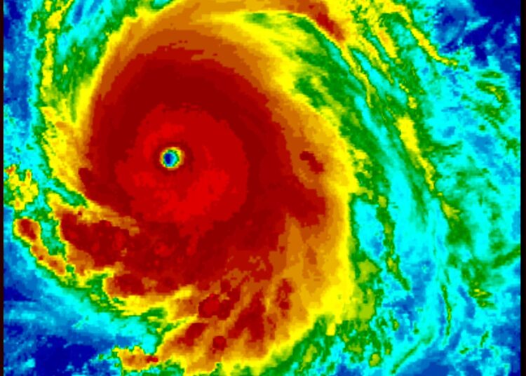
El huracán Lee cobró fuerza y alcanzó la categoría 5 con vientos que podrían llegar a máximas de 257 kilómetros por hora cuando se acerque desde el Atlántico al este del Caribe, informó este jueves el Centro Nacional de Huracanes de EEUU (NHC, por sus siglas en inglés).
Según el último reporte del NHC, el huracán se encontraba aproximadamente a 1.127 kilómetros al este del norte de las Islas de Sotavento (un grupo de islas de las Antillas Menores).
De acuerdo a las predicciones, Lee podría registrar su máxima intensidad, con fuertes olas y corrientes, durante el fin de semana y desplazarse hasta el suroeste del Atlántico ya durante el lunes o martes, cuando se confirmará si finalmente tocará territorio continental estadounidense.
Lee se formó este martes en el centro del Atlántico, se convirtió este miércoles en un huracán de categoría 1 y este jueves subió a categoría 2 y horas después a 5, la máxima en la escala de intensidad de Saffir-Simpson.
Este potente huracán generará a su paso “grandes marejadas” y “resacas peligrosas”, según el NHC. Hasta ahora, no se han emitido vigilancias ni avisos costeros, pero las Antillas Menores permanecen en aviso sobre el desarrollo de Lee.
Los meteorólogos del NHC, con sede en Miami, advirtieron que las peligrosas olas generadas por el huracán llegarán a la Islas Vírgenes británicas y estadounidenses, Puerto Rico, las Bahamas, La Española y Bermudas este fin de semana.
El jueves, el presidente Joe Biden fue informado sobre la más reciente trayectoria del huracán y sobre los preparativos en marcha por parte de la Agencia Federal para el Manejo de Emergencias (FEMA), la cual desplegó activos no identificados en varias localidades.
“Veremos olas de entre 3 y 5 metros, así que no queremos a nadie en las playas”, dijo Ernesto Morales del Servicio Meteorológico Nacional en San Juan, Puerto Rico.
En una actualización difundida el pasado 10 de agosto, la Administración Nacional de Océanos y Atmósfera (NOAA, en inglés) de EEUU vaticinó una temporada de huracanes en el Atlántico “por encima de lo normal”, con la formación de entre 14 y 21 tormentas tropicales, de las cuales entre 6 y 11 serían huracanes.
Mientras tanto, en el Pacífico, el huracán Jova se movía por aguas abiertas lejos de la costa suroeste de México como tormenta de categoría 4. No planteaba amenaza para tierra.
El meteoro estaba 965 kilómetros al suroeste de la península de Baja California y se movía con rumbo oeste-noroeste con vientos de hasta 230 kph.






