Revelan que Policía de Ecuador sabía del ataque contra Villavicencio y el Gobierno contraataca
El periodista Andersson Boscán, del portal digital ecuatoriano La Posta, reveló el martes que la Policía Nacional de Ecuador y ...
El periodista Andersson Boscán, del portal digital ecuatoriano La Posta, reveló el martes que la Policía Nacional de Ecuador y ...
El paso del supertifón Saola por el extremo norte de Filipinas ha forzado la evacuación de al menos 48.000 personas ...
El gris de las cenizas impregna de desolación a la localidad hawaiana de Lahaina, arrasada por los peores incendios de ...
La Dirección de Reconstrucción del Tejido Social clausuró los procesos de formación de Juventudes con Éxito, en el Centro Urbano ...
La Fiscalía General de la República (FGR), giró orden de captura contra una agente administrativa de la Policía Nacional Civil ...
La Policía Nacional Civil (PNC), reportó la captura de un pandillero que se dedicaba a vender droga para financiar crímenes ...
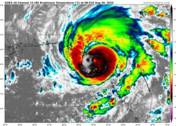
El huracán Idalia se convirtió en una potente tormenta de categoría 4 a medida que se acerca a la región ...
Un nuevo terremoto ha sacudido una de las once provincias del sureste de Turquía que sufrieron graves daños en los ...
La Agencia de la ONU para los Refugiados en El Salvador (ACNUR) instaló recientemente una sala de lactancia materna en ...
La Policía Nacional Civil (PNC), reportó la captura de un pandillero que se jactaba de pertenecer a la estructura criminal ...