Captan la primera vista completa del anillo de polvo de Venus
Con la ayuda de un instrumento de la sonda solar Parker de la NASA, se logró captar por primera vez ...
Con la ayuda de un instrumento de la sonda solar Parker de la NASA, se logró captar por primera vez ...
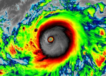
El tifón Surigae, que se desplaza por el Pacífico Occidental, se ha intensificado durante el fin de semana hasta convertirse ...
El ministerio de Hacienda dio a conocer que la calificadora de riesgos Standar & Poor's Global Ratings mantiene una calificación ...
Por primera vez en la historia, se logró diseñar un embrión que mezcla células de simio con un ovocito humano. ...
En cadena nacional, el presidente de El Salvador, Nayib Bukele, inauguró ayer, 12 de abril, el primer Megacentro de Vacunación ...
En la última sesión plenaria de la Asamblea Legislativa que fue elegida para 2018-2021, este día, diputados emitieron un dictamen ...
Para este martes el Ministerio de Medio Ambiete pronostica que por la mañana, el cielo estará poco nublado. Hacia el ...
Esta semana se habilitó iOS 14.5, la nueva versión del sistema operativo de Apple que incluye una novedad en relación ...
El Ministro de Defensa, Merino Monroy, destacó este miércoles el trabajo realizado por los elementos de la Fuerza Armada junto ...
El trabajo de prevención que ejecuta el Ministerio de Obras Públicas (MOP) previo a la llegada de la época lluviosa, ...