(FOTOS) Huracán Michael puso al descubierto barcos naufragados de hace 120 años
La fuerza del huracán Michael a su paso por EE.UU. no solo dejó un rastro de destrucción a gran escala ...
La fuerza del huracán Michael a su paso por EE.UU. no solo dejó un rastro de destrucción a gran escala ...
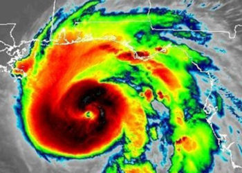
El huracán Michael, que actualmente toma fuerza en el golfo de México, se ha intensificado hasta la categoría 4, "extremadamente ...
El Ministerio de Medio Ambiente y Recursos Naturales (MARN) espera que para este miércoles disminuya la situación de temporal en ...
Rick Scott movilizó a la Guardia Nacional e indicó a los residentes de la costa del Golfo de México que ...
El ministerio de Medio Ambiente y Recursos Naturales (MARN) informa que la situación de temporal continuará este martes 9 de octubre, ...
La tormenta tropical Michael evoluciona esta mañana a huracán categoría 1 en laescala Saffir-Simpson, informó el Centro Nacional de Huracanes (NHC, en inglés), con sede ...