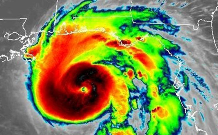
El huracán Michael, que actualmente toma fuerza en el golfo de México, se ha intensificado hasta la categoría 4, «extremadamente peligrosa», y sigue desplazándose en dirección a la costa estadounidense, informa el Centro Nacional de Huracanes de EE.UU.
Actualmente, el huracán se encuentra a 145 kilómetros al oeste-suroeste de la ciudad de Apalachicola y a 145 kilómetros al suroeste de Panama City, ambas en Florida. Avanza hacia el norte a una velocidad de 20 kilómetros por hora.
La velocidad del viento máxima ahora alcanza 230 kilómetros por hora, informa el NHC. La quinta categoría –la más peligrosa– se asigna a los huracanes cuyos vientos alcanzan una velocidad superior a los 250 kilómetros por hora.
https://twitter.com/JackSillin/status/1049928033359015936/photo/1
Las autoridades estadounidenses advierten a los residentes de Florida de la posibilidad de vientos tormentosos, lluvias intensas y posibles inundaciones en cuanto el huracán toque la tierra.
De acuerdo con la advertencia más reciente del NHC, Michael podría producir una marejada ciclónica «potencialmente mortal» de hasta 4 metros y descargar hasta unos 30 centímetros de lluvia en varias localidades del estado de Florida.
Este martes, el presidente de EE.UU., Donald Trump, declaró el estado emergencia en Florida y ordenó la asistencia federal para complementar las labores de respuesta. La decisión del mandatario autoriza al Departamento de Seguridad Nacional y a la Agencia Federal para el Manejo de Emergencias (FEMA) a coordinar todos los esfuerzos de socorro, para salvar vidas y proteger la propiedad, la salud y la seguridad públicas, y disminuir o evitar la amenaza de una catástrofe
Una alerta por una marejada ciclónica potencialmente mortalestá vigente este 10 de octubre en gran parte del noroeste del estado de Florida, informa el NHC.
«Las inundaciones por la marejada ciclónica podrían alcanzar de 2,8 a 4 metros por encima del nivel del suelo entre la base de la Fuerza Aérea Tyndall y Keaton Beach (Florida)», precisó el organismo meteorológico.















