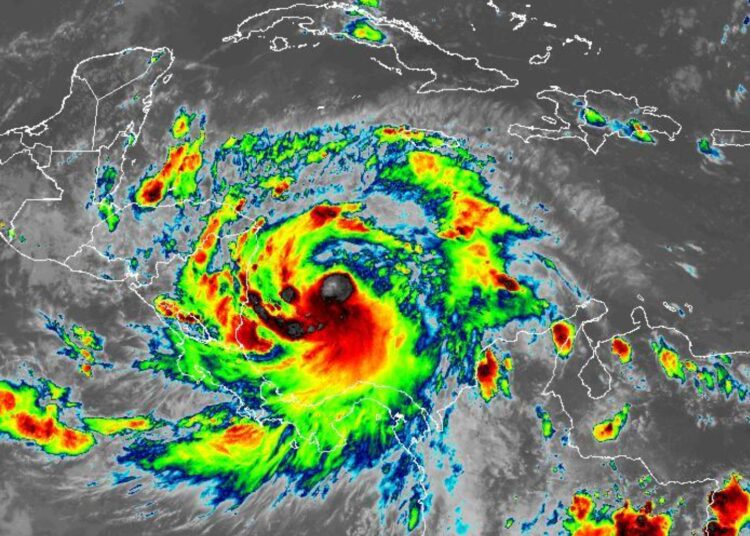
Julia es ahora un huracán con vientos máximos sostenidos de 75 mph (120 km/h), según una actualización especial de las 7 p.m. (hora de Miami) del Centro Nacional de Huracanes.
La tormenta pasa entre San Andrés y las Islas Providencia y se desplaza hacia el oeste a 28 km/h.
Se espera que el huracán Julia se fortalezca levemente antes de golpear la costa de Nicaragua el domingo temprano.
Junto con los vientos huracanados, es posible que en Nicaragua se produzcan lluvias potencialmente mortales de 6 a 10 pulgadas (150-250 mm), con cantidades aisladas de hasta 15 pulgadas (350 mm).
Esas cantidades de lluvia podrían provocar deslizamientos de tierra e inundaciones repentinas.
El sistema se formó en el extremo sur del Caribe, cerca de la Península de La Guajira en Colombia.
“Se espera que Julia se convertirá en huracán durante la noche del sábado”, dijo el centro previamente. El pronóstico oficial indica que tendrá una intensidad al tocar tierra de 136 km/h, lo que convertiría a Julia en un huracán categoría 1.

En Nicaragua, se actualizó la alerta de huracán a una advertencia de huracán desde Laguna de Perlas hasta Puerto Cabezas. Se emitió un aviso de ciclón tropical al norte de Puerto Cabezas hasta la frontera entre Honduras y Nicaragua y al sur de Laguna de Perlas hasta Bluefields.
Para Colombia, este sábado se emitió una alerta máxima de alarma de huracán para de San Andrés, Providencia y Santa Catalina, por lo que se puede presentar las condiciones de huracán en el territorio colombiano. El Instituto de Hidrología, Meteorología y Estudios Ambientales (Ideam) indicó que es probable que se presenten vientos sostenidos de 119 kilómetros por hora o más y se prevén precipitaciones acumuladas fuertes y extremas, tormentas eléctricas, ráfagas de viento, y marejada ciclónica en el área del archipiélago.
El presidente de Colombia Gustavo Petro indicó en su cuenta de Twitter que están en «alerta máxima» y que «toda la infraestructura hotelera debe abrir espacio para refugios a población vulnerable».
Venezuela sufre estragos por el paso de la depresión tropical
Las lluvias por el paso por Venezuela de la depresión tropical número 13 (previamente onda tropical 41) dejaron una persona muerta en el estado Sucre, al menos cuatro heridas —dos en Caracas y dos en el estado Carabobo, ubicado en el noroccidente de Venezuela—, cerca de 22.000 casas afectadas —de las que unas 17 colapsaron total o parcialmente— y árboles caídos, informó este jueves en el canal estatal VTV el viceministro para la Gestión de Riesgo y Protección Civil, Carlos Pérez Ampueda.
El funcionario aseguró que más de 20.000 funcionarios fueron desplegados en el territorio nacional como medida de prevención.
También advirtió que, mientras continúen las intensas precipitaciones, la población debe mantenerse alejada de ríos, playas y zonas que presenten riesgos, al señalar que las fuertes lluvias y tormentas eléctricas se mantendrán durante las próximas 24 horas.
Este jueves por la noche, el presidente Nicolás Maduro ofreció un balance de las lluvias registradas en las últimas horas, en el cual aseguró que las zonas más afectadas son la zona central, andina y llanera, luego de que la onda tropical pasó a depresión tropical.
Más temprano, el vicepresidente de Seguridad Ciudadana, Remigio Ceballos, destacó que están en permanente monitoreo ante las condiciones climáticas que están afectando al Distrito Capital y a estados como La Guaira, Aragua y algunas zonas llaneras, entre otras.
Desde el Instituto Nacional de Meteorología e Hidrología (Inameh) explicaron que las lluvias ya afectan a la costa oriental y que han ido ganando fuerza al convertirse en depresión tropical, con vientos máximos sostenidos de 55 kilómetros por hora y fuertes ráfagas y precipitaciones de moderadas a fuertes.






