El inminente huracán empezó a hacerse real para los habitantes de Hawaii, luego de que se abrieron los refugios de emergencia, comenzó a llover y las alertas sonaron en sus celulares.
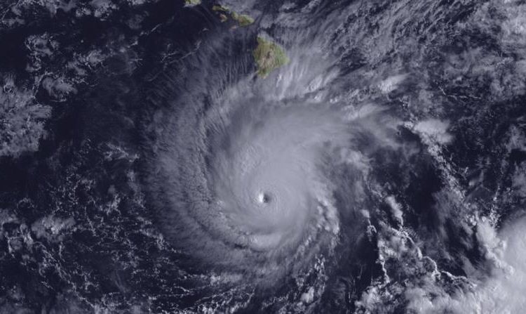
Lane bajó a categoría 4 (luego de haber estado en 5, la máxima posible), con vientos máximos sostenidos de 250 km/h, desplazándose desde el sur hacia las principales islas de este estado estadounidense en medio del Pacífico, indicó el Servicio Meteorológico de Estados Unidos (NWS).
Está previsto que Lane continúe girando hacia el noroeste, en dirección al archipiélago, y podría convertirse en la tormenta más potente que azota la región desde el huracán Iniki en 1992, que causó la muerte de seis personas y daños a 14.000 hogares.
«El centro de Lane pasará peligrosamente cerca de las islas del jueves al sábado», indicó el aviso. «Independientemente del trayecto exacto del centro, es probable que haya impactos peligrosos en algunas áreas a medida que el huracán se acerque más», agregó.
«En este momento, todo el mundo está esperando», dijo Christyl Nagao, de Kauai. «Nuestras familias están aquí. Tenemos negocios y otras cosas. Solo hay que cuidar el fuerte y agarrarse fuerte».
Las autoridades abrieron albergues en la Isla de Hawaii y en Maui, Molokai y Lanai el miércoles y pidieron a quienes necesiten alojarse en Molokai que vayan allí pronto por miedo a que la principal autopista en la costa sur de la isla quede intransitable.
En la isla de Oahu, que está en alerta por huracán desde el miércoles en la noche, estaba previsto que los refugios abriesen el jueves. Las autoridades trabajaban también para ayudar a la considerable población de personas sin techo, la mayoría de los cuales viven cerca de playas o arroyos que podrían desbordarse.
Ante la escasez de espacio en los refugios estatales, el administrador de la Agencia de Gestión de Emergencias de Hawai, Tom Travis, pidió a quienes viven en zonas donde no hay riesgo de inundación que permanezcan en sus casas.
El Departamento de Defensa de Estados Unidos ordenó la retirada de su flota desplegada en la base de Pearl Harbor, en Hawaii, debido a la inminente llegada del huracán.
«Basándonos en la actual trayectoria de la tormenta, hemos tomado la decisión de ordenar la salida de nuestros buques con base en Pearl Harbor. De esta manera, los barcos contarán con tiempo suficiente para apartarse de forma segura del camino de la tormenta», señaló el contraalmirante de la Armada Brian Fort en un comunicado divulgado por el Pentágono.














