El tifón Surigae, que se desplaza por el Pacífico Occidental, se ha intensificado durante el fin de semana hasta convertirse en un megatifón que amenaza con afectar varias zonas de Filipinas con lluvias torrenciales, vientos fuertes e inundaciones costeras, informa The Weather Channel.
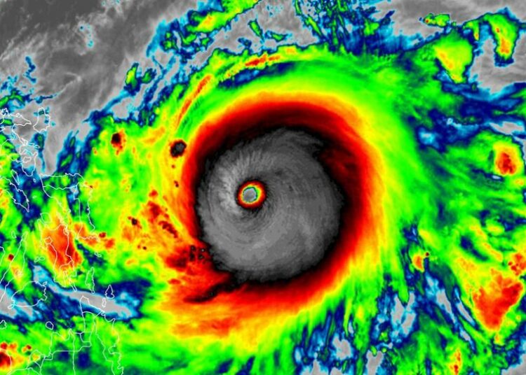
El tifón —conocido localmente como ‘Bising’— ha alcanzado vientos máximos sostenidos de 215 kilómetros por hora, catalogándose como tormenta de categoría 5. Según la oficina meteorológica estatal, posee un ojo muy bien definido y «mantiene su fuerza mientras se mueve sobre el mar de Filipinas, al este de Sorsogon».
Se espera que comience a debilitarse tras alcanzar su intensidad récord este domingo y que «comience a girar más hacia el norte» durante esta jornada o temprano en la mañana del lunes.
Surigae se intensificó rápidamente el viernes, mostrando el típico ojo en las imágenes de satélite y de microondas.








